|
|
|
一個很多人都喜歡的地方
(這篇文章已經被閱讀了 6879 次) 時間:2004/12/28 08:15pm 來源:luckygrass
就從這一張開始吧 天氣很陰 但是很幸運的 竟然沒有下雨
此主題相關圖片如下:


按此查看圖片詳細資料
| luckygrass |
發表於: 2004/12/28 08:21pm
|
雖然海拔不高 但是仍然雲霧裊裊
此主題相關圖片如下:


按此查看圖片詳細資料
|
頂部 |
| luckygrass |
發表於: 2004/12/28 08:23pm
|
途中經過的地方 一大片 都是種植紅菜 您猜出來 是哪裡了嗎
此主題相關圖片如下:


按此查看圖片詳細資料
|
頂部 |
| luckygrass |
發表於: 2004/12/28 08:26pm
|
寥寥幾棵櫻花樹在開 但也仍然一樹桃紅
此主題相關圖片如下:


按此查看圖片詳細資料
|
頂部 |
| luckygrass |
發表於: 2004/12/28 08:27pm
|
花上沾滿水珠 因為 前一天 雨下很大
此主題相關圖片如下:


按此查看圖片詳細資料
|
頂部 |
| luckygrass |
發表於: 2004/12/28 08:32pm
|
[這篇文章最後由luckygrass在 2004/12/28 09:35pm 第 1 次編輯]
進到園區囉 真是太久沒有出門 竟然第一個看到 就忘了他是誰 頭騷了半天 還是叫不出名字 誰來幫幫忙啊
呵呵 想到他是誰了 Aeschynanthus acuminatus Wall. 長果藤
此主題相關圖片如下:


按此查看圖片詳細資料
|
頂部 |
| luckygrass |
發表於: 2004/12/28 08:34pm
|
滿樹的蘭花 不過 這蘭花 我就真的不懂了
此主題相關圖片如下:


按此查看圖片詳細資料
|
頂部 |
| luckygrass |
發表於: 2004/12/28 08:39pm
|
不必管他什麼蕨 只是好喜歡這樣的問號 呵呵 覺得很有答與問的想像空間
此主題相關圖片如下:


按此查看圖片詳細資料
|
頂部 |
| luckygrass |
發表於: 2004/12/28 08:41pm
|
懸勾子 路上看到綠色以外 鮮豔的顏色
此主題相關圖片如下:


按此查看圖片詳細資料
|
頂部 |
| luckygrass |
發表於: 2004/12/28 08:44pm
|
[這篇文章最後由luckygrass在 2004/12/28 09:15pm 第 1 次編輯]
我是蘭花白癡 很美 但是很小
收到情報 這個叫做一葉羊耳蒜
此主題相關圖片如下:


按此查看圖片詳細資料
|
頂部 |
| luckygrass |
發表於: 2004/12/28 08:49pm
|
[這篇文章最後由luckygrass在 2004/12/28 11:39pm 第 1 次編輯]
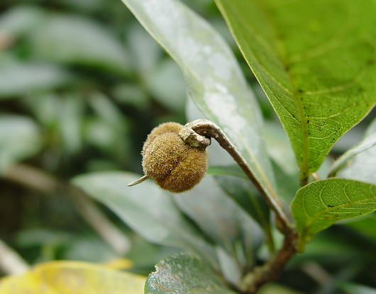
六樓的花的花苞 綠色的 很可愛
一時失查 真丟臉 呵呵 經過AKU大大提醒 是花苞 不是果實 一時沒想到果實是長的 真不好意思呢!!
此主題相關圖片如下:


按此查看圖片詳細資料
|
頂部 |
| luckygrass |
發表於: 2004/12/28 08:51pm
|
這一種蕨 也很可愛 還有很大的個體 但是 實在太陰暗了
此主題相關圖片如下:


按此查看圖片詳細資料
|
頂部 |
| luckygrass |
發表於: 2004/12/28 08:56pm
|
被我看到他 呵呵 真是可愛 鵂鶹 體型大小約15公分左右 還一次看到兩隻呢 但是我的像機不行啦~~太遠了
此主題相關圖片如下:


按此查看圖片詳細資料
|
頂部 |
| luckygrass |
發表於: 2004/12/28 09:00pm
|
看見這樣掛在樹上的蘭花 心裡好感動 沒想到 還能在野外這樣的看見蘭花 整樹整樹的 希望 有機會去 大家能手下留情啊!!
此主題相關圖片如下:


按此查看圖片詳細資料
|
頂部 |
| luckygrass |
發表於: 2004/12/28 09:10pm
|
這一個 是很毛的問號 呵呵
此主題相關圖片如下:


按此查看圖片詳細資料
|
頂部 |
| tjming |
發表於: 2004/12/28 09:12pm
|
下面引用由luckygrass在 2004/12/28 08:51pm 發表的內容: 這一種蕨 也很可愛 還有很大的個體 但是 實在太陰暗了
|
|
燕尾蕨 |
頂部 |
| luckygrass |
發表於: 2004/12/28 09:13pm
|
太亂啦 看到主角沒有 帶狀瓶爾小草
此主題相關圖片如下:


按此查看圖片詳細資料
|
頂部 |
| tjming |
發表於: 2004/12/28 09:17pm
|
| 真懷念這個好地方! |
頂部 |
| luckygrass |
發表於: 2004/12/28 09:19pm
|
在這邊 連鳥巢蕨都這麼美
此主題相關圖片如下:


按此查看圖片詳細資料
|
頂部 |
| luckygrass |
發表於: 2004/12/28 09:20pm
|
[這篇文章最後由luckygrass在 2004/12/28 09:32pm 第 1 次編輯]
看了很久 才讓大家看到這邊
此主題相關圖片如下:


按此查看圖片詳細資料
|
頂部 |
| luckygrass |
發表於: 2004/12/28 09:22pm
|
去過很多次 但是 最後一次是在5年多前去的 又再度來到這地方 不能免俗的 這是一定要拍的景
此主題相關圖片如下:


按此查看圖片詳細資料
|
頂部 |
| luckygrass |
發表於: 2004/12/28 09:24pm
|
天還是灰暗暗的 可是 這樣真的很棒!!!
此主題相關圖片如下:


按此查看圖片詳細資料
|
頂部 |
| luckygrass |
發表於: 2004/12/28 09:26pm
|
再來一張大家都覺得美的水生池
此主題相關圖片如下:


按此查看圖片詳細資料
|
頂部 |
| luckygrass |
發表於: 2004/12/28 09:28pm
|
來兩張水池中代表性植物 台灣萍蓬草
此主題相關圖片如下:


按此查看圖片詳細資料
|
頂部 |
| luckygrass |
發表於: 2004/12/28 09:31pm
|
東亞黑三稜 花
此主題相關圖片如下:


按此查看圖片詳細資料
|
頂部 |
| luckygrass |
發表於: 2004/12/28 09:34pm
|
東亞黑三稜 果
此主題相關圖片如下:


按此查看圖片詳細資料
|
頂部 |
| luckygrass |
發表於: 2004/12/28 09:42pm
|
林下植物區 有油點草 各種秋海棠 還有船子草 還有球子草 還有各種野牡丹.....等等
此主題相關圖片如下:


按此查看圖片詳細資料
|
頂部 |
| ahsiang |
發表於: 2004/12/28 10:25pm
|
| 自然的景物,在您的捕捉下,竟然的這麼動人 |
頂部 |
| Tony |
發表於: 2004/12/28 10:46pm
|
哈哈...看見拍的植物就知道是哪裡了.....呵呵.. 謝謝分享... |
頂部 |
| Aku |
發表於: 2004/12/28 11:11pm
|
下面引用由luckygrass在 2004/12/28 08:49pm 發表的內容: 六樓的花的果實 綠色的 很可愛
|
|
這應該是花苞吧 長果藤的果不是長長的一跟嗎? |
頂部 |
| payju |
發表於: 2004/12/29 00:20am
|
下面引用由luckygrass在 2004/12/28 08:34pm 發表的內容: 滿樹的蘭花 不過 這蘭花 我就真的不懂了
|
|
會不會是大腳筒 |
頂部 |
| Hsu |
發表於: 2004/12/29 00:34am
|
下面引用由payju在 2004/12/29 00:20am 發表的內容: 會不會是大腳筒
|
|
是赤色毛花蘭
|
頂部 |
| hic6012 |
發表於: 2004/12/29 09:37am
|
有沒有順便買把紅菜回來吃阿 粉好吃喔 |
頂部 |
| sulo |
發表於: 2004/12/29 08:15pm
|
算算離上一次探訪此地應該有十年了吧 真是令人懷念 看來它還是一樣美....... 感謝 luckygrass 大大的分享 |
頂部 |
| luckygrass |
發表於: 2004/12/30 05:43pm
|
及己
此主題相關圖片如下:


按此查看圖片詳細資料
|
頂部 |
| luckygrass |
發表於: 2004/12/30 05:46pm
|
[這篇文章最後由luckygrass在 2004/12/30 05:46pm 第 1 次編輯]
XX衛茅
此主題相關圖片如下:


按此查看圖片詳細資料
|
頂部 |
| luckygrass |
發表於: 2004/12/30 05:47pm
|
兩種野牡丹
此主題相關圖片如下:


按此查看圖片詳細資料
|
頂部 |
| 擬少華 |
發表於: 2004/12/30 05:48pm
|
***** 版主模式 *****
此文章是管理員從[ 植物 ]轉移過來的! |
頂部 |
| luckygrass |
發表於: 2004/12/30 05:51pm
|
第二種
此主題相關圖片如下:


按此查看圖片詳細資料
|
頂部 |
| luckygrass |
發表於: 2004/12/30 05:53pm
|
福氏石松 長得還不錯 不過 也許以前在樹上 就長得很好了 呵呵
此主題相關圖片如下:


按此查看圖片詳細資料
|
頂部 |
| luckygrass |
發表於: 2004/12/30 05:56pm
|
紅花八角
此主題相關圖片如下:


按此查看圖片詳細資料
|
頂部 |
| luckygrass |
發表於: 2004/12/30 05:58pm
|
馬醉木
此主題相關圖片如下:


按此查看圖片詳細資料
|
頂部 |
| luckygrass |
發表於: 2004/12/30 06:00pm
|
馬醉木
此主題相關圖片如下:


按此查看圖片詳細資料
|
頂部 |
| luckygrass |
發表於: 2004/12/30 06:02pm
|
降真香 果
此主題相關圖片如下:


按此查看圖片詳細資料
|
頂部 |
| luckygrass |
發表於: 2004/12/30 06:03pm
|
降真香 花
此主題相關圖片如下:


按此查看圖片詳細資料
|
頂部 |
| luckygrass |
發表於: 2004/12/30 06:06pm
|
山黃皮
此主題相關圖片如下:


按此查看圖片詳細資料
|
頂部 |
| luckygrass |
發表於: 2004/12/30 06:09pm
|
猴歡喜 花
此主題相關圖片如下:


按此查看圖片詳細資料
|
頂部 |
| luckygrass |
發表於: 2004/12/30 06:11pm
|
猴歡喜 果
此主題相關圖片如下:


按此查看圖片詳細資料
|
頂部 |
| luckygrass |
發表於: 2004/12/30 06:13pm
|
小葉白筆 花很細緻
此主題相關圖片如下:


按此查看圖片詳細資料
|
頂部 |
| luckygrass |
發表於: 2004/12/30 06:15pm
|
就以這張作為結束吧!!
此主題相關圖片如下:


按此查看圖片詳細資料
|
頂部 |
| 飛翔的草 |
發表於: 2006/11/08 03:27pm
|
下面引用由luckygrass在 2004/12/28 08:39pm 發表的內容: 不必管他什麼蕨 只是好喜歡這樣的問號 呵呵 覺得很有答與問的想像空間
|
|
芒萁 他的「問號」特別美 |
頂部 |
| hs3847 |
發表於: 2006/11/09 09:51am
|
| 哈哈,福山植物園半路上,對吧。 |
頂部 |
| bruce33 |
發表於: 2006/11/09 10:31pm
|
臺灣的植物真美 家離這裡太遠 應該找個時間 專程跑一次 |
頂部 |
| 驛動的心 |
發表於: 2006/11/11 02:00am
|
請教一個問題哦.... 有紅菜的地方是雙連埤嗎??? 在五年前,曾至福山一次, 令人難以忘懷,有機會一定要再去.... 感謝luckygrass 大大, 拍出如此美麗的畫面哦.... |
頂部 |
|
|