|
|
|
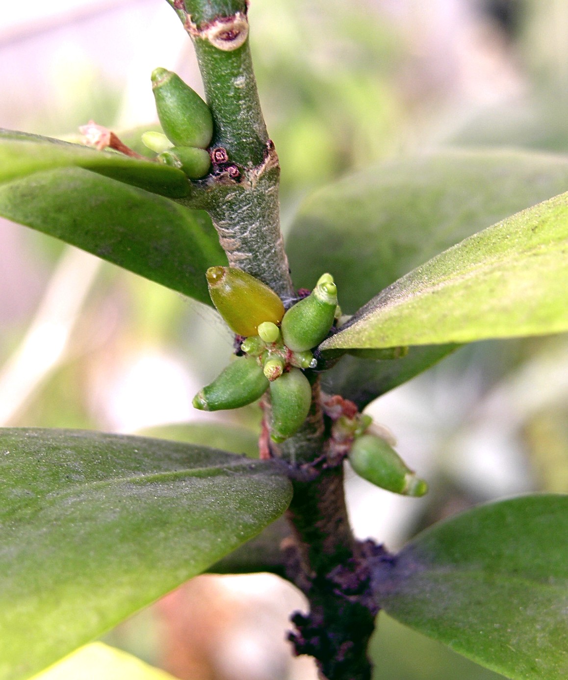
[貼圖]蟻巢玉
(這篇文章已經被閱讀了 10035 次) 時間:2006/02/15 10:42pm 來源:coelacanth
此主題相關圖片如下:


按此查看圖片詳細資料
此主題相關圖片如下:


按此查看圖片詳細資料
這樣種好
此主題相關圖片如下:


按此查看圖片詳細資料
此主題相關圖片如下:


按此查看圖片詳細資料
這樣種也好
此主題相關圖片如下:


按此查看圖片詳細資料
這樣也別有一番風味
| charlot |
發表於: 2006/02/16 12:31pm
|
| 看來利用蟻巢引誘即將跌入豬籠或是被黏住於黏液的食蟲人是很有效的 |
頂部 |
| 空降甘霖 |
發表於: 2006/02/16 02:31pm
|
蟻巢玉到底算不算是"著生植物"呢?(看起來很像耶~) 栽種介質須排水良好...那板植因當是不錯的選擇吧^^"
向上發展中~(板植掛牆壁哇~哈哈...) |
頂部 |
| charlot |
發表於: 2006/02/16 03:30pm
|
下面引用由空降甘霖在 2006/02/16 02:31pm 發表的內容: 蟻巢玉到底算不算是"著生植物"呢?(看起來很像耶~) 栽種介質須排水良好...那板植因當是不錯的選擇吧^^" 向上發展中~(板植掛牆壁哇~哈哈...)
|
|
難道不是嗎? |
頂部 |
| 空降甘霖 |
發表於: 2006/02/16 05:06pm
|
下面引用由charlot在 2006/02/16 03:30pm 發表的內容: 難道不是嗎?
|
|
哈~就說我爬文沒看錯..... 今天聽到朋友說蟻巢玉不是"著生的"時候, 頓時出現一大堆問號 (那....那..之前爬文看到那些長在樹上的是啥?拍的人寫是蟻巢玉沒錯阿 難不成是"著生杜鵑"?不可能阿有長塊莖的耶..... )
趕快把小苗再去給他弄上板啦
|
頂部 |
| math6174 |
發表於: 2006/02/16 08:56pm
|
此主題相關圖片如下:


按此查看圖片詳細資料
抱歉!跟貼 |
頂部 |
| math6174 |
發表於: 2006/02/16 08:58pm
|
此主題相關圖片如下:


按此查看圖片詳細資料
另一種 |
頂部 |
| math6174 |
發表於: 2006/02/16 09:02pm
|
此主題相關圖片如下:


按此查看圖片詳細資料
流落各地的寶寶,不知過得如何? |
頂部 |
| math6174 |
發表於: 2006/02/16 09:24pm
|
此主題相關圖片如下:


按此查看圖片詳細資料
|
頂部 |
| math6174 |
發表於: 2006/02/16 09:26pm
|
此主題相關圖片如下:


按此查看圖片詳細資料
|
頂部 |
| math6174 |
發表於: 2006/02/16 09:28pm
|
此主題相關圖片如下:


按此查看圖片詳細資料
蟻窩 |
頂部 |
| ㄚ福 |
發表於: 2006/02/16 09:39pm
|
下面引用由math6174在 2006/02/16 09:02pm 發表的內容: 流落各地的寶寶,不知過得如何?
|
|
老師:我來自首....它蒙主召寵 .....檢討....水太給多了 ㄚ福 |
頂部 |
| charlot |
發表於: 2006/02/16 10:47pm
|
下面引用由ㄚ福在 2006/02/16 09:39pm 發表的內容: 老師:我來自首....它蒙主召寵 .....檢討....水太給多了 ㄚ福
|
|
不對歐,這類的是水越多越好 太乾反而不好 我猜,由你的頭像看來 你該不是用多肉介質種吧 這需要用著生介質種他,澆再多的水都不會爛的,因為水一澆就流掉了 一種外表像多肉,內心卻是雨林的植物 和奇異鳳仙花是ㄧ樣的個性 |
頂部 |
| ㄚ福 |
發表於: 2006/02/16 11:34pm
|
下面引用由charlot在 2006/02/16 10:47pm 發表的內容: 不對歐,這類的是水越多越好 太乾反而不好 我猜,由你的頭像看來 你該不是用多肉介質種吧 ...
|
|
charlot:你好 完全命中,,,, 謝謝,,,終於明白機關藏在倉庫 但.........機會渺茫...... |
頂部 |
| birdyeh |
發表於: 2006/02/18 06:02pm
|
我想請問 蟻巢玉在台北要如果渡冬呢?? |
頂部 |
| charlot |
發表於: 2006/02/18 07:09pm
|
下面引用由birdyeh在 2006/02/18 06:02pm 發表的內容: 我想請問 蟻巢玉在台北要如果渡冬呢??
|
|
請去食蟲版 參考一下低地豬的越冬方式 |
頂部 |
| jeff2624 |
發表於: 2006/02/18 07:44pm
|
| 我都直接給它丟在外面,除了生長停止之外,無什問題,放心吧,它沒有像低地豬那麼怕冷 |
頂部 |
| charlot |
發表於: 2006/02/18 07:48pm
|
下面引用由jeff2624在 2006/02/18 07:44pm 發表的內容: 我都直接給它丟在外面,除了生長停止之外,無什問題,放心吧,它沒有像低地豬那麼怕冷
|
|
地球已經進入讓人無法理解的時間 每個人都無法理解下一步會發生啥事情 以前我也不相信台北的低溫可以殺死蟻巢玉 直到一株種了5年的蟻巢被凍死 我才開始後悔 |
頂部 |
| jeff2624 |
發表於: 2006/02/18 08:20pm
|
| 你是否遇超低溫寒流來時又遇下雨才凍死的,我雖往外丟,但我一直必免1+1=2的情況發生,除此之外,當時該株是否已在生長季獲得足夠的本錢過冬,例如一隻熊過冬,一般人總覺渡冬是理所當然的,可是你知不知道,如果該熊沒有儲存足夠之脂肪,它是無法過冬的,當然這關係著原本的獵食環境遭受改變而無法像以前一樣獲取足夠的食物,以致沒有充足的脂肪過冬,這只是一個比喻,或許多多觀察其微妙變化,許多答案就會有所解答,我目前也為此目標努力中 |
頂部 |
| charlot |
發表於: 2006/02/18 08:31pm
|
下面引用由jeff2624在 2006/02/18 08:20pm 發表的內容: 你是否遇超低溫寒流來時又遇下雨才凍死的,我雖往外丟,但我一直必免1+1=2的情況發生,除此之外,當時該株是否已在生長季獲得足夠的本錢過冬,例如一隻熊過冬,一般人總覺渡冬是理所當然的,可是你知不知道,如果該熊沒 ...
|
|
謝謝你的提示 只是我要跟你說歐 這些熱帶低地的雨林植物全都是不知要如何冬眠的馬來熊歐 熱帶雨林植物的生理機制不像熱帶季風臨終的植物知道休眠 家裡的植物太多,沒有辦法去管哪時下雨,哪時冷 只能把怕冷的往室內移,凍不死的就放外頭 台北最要熱帶植物命的氣候是沒有日照,沒有溫差,像是冰窖般的日子,時間久了,不知休眠的植物也就灑手歸西了 |
頂部 |
| 空降甘霖 |
發表於: 2006/02/18 09:32pm
|
 | |  |  | 下面引用由yamai在 2003/12/08 12:30pm 發表的內容: 給他吃飽飽,自然不會在冬眠的時候死掉阿 植物跟動物的原理其實是一樣的 生長期勤施肥(氮肥), 這樣遇到逆境就有更多的養分可以稱過去
|  |
| |
|
剛好今天有看到....考古文喔~ 是乎跟jeff2624 的馬來熊理論有些雷同~ 不過有溫室最好啦~哇哈哈.....不用每到冬天都搭水族箱溫室 然後搬來搬去的.....
|
頂部 |
| coelacanth |
發表於: 2006/02/18 11:09pm
|
| 既然主題是我開,那我分享一下我的經驗。我貼的前兩種我是直接放陽台吹風,9度低溫的寒流是OK啦,不過低溫那幾天我是不澆水的。 |
頂部 |
| 影月 |
發表於: 2006/02/19 01:08am
|
下面引用由math6174在 2006/02/16 09:02pm 發表的內容: 流落各地的寶寶,不知過得如何?
|
|
慚愧~慚愧~我把他們露天全日照結果他在雨季之後就離我而去了,嗚..................... |
頂部 |
| Jumpluff |
發表於: 2006/02/19 01:13am
|
下面引用由math6174在 2006/02/16 08:56pm 發表的內容: 抱歉!跟貼
|
|
請問大大你後面是不是養了一棵花很美的ceropegia.. 這些植物...香港都沒有.. |
頂部 |
| math6174 |
發表於: 2006/02/19 10:00am
|
我的放在溫室,冬天只是生長遲緩,照樣澆水 to jumpluff:7樓後方的是長得很像ceropegia的大戟 |
頂部 |
| birdyeh |
發表於: 2006/02/19 12:08pm
|
看了各位大大的討論 讓我獲知不少 真的感謝各位提供的意見 有機會我會再試試 感謝再三 |
頂部 |
| coelacanth |
發表於: 2006/02/19 08:41pm
|
此主題相關圖片如下:


按此查看圖片詳細資料
這是去年在朋友那拍的,可惜這棵已經歸西了~
此主題相關圖片如下:


按此查看圖片詳細資料
還好當時要了個小朋友,已經被我上板了^^~ |
頂部 |
| Jumpluff |
發表於: 2006/02/19 08:56pm
|
下面引用由math6174在 2006/02/19 10:00am 發表的內容: 我的放在溫室,冬天只是生長遲緩,照樣澆水 to jumpluff:7樓後方的是長得很像ceropegia的大戟
|
|
被騙了..哈哈 小弟最近很想收集一些ceropegia.. 像薄雲和ampliata等.不知大大有沒有方法找到@@.. |
頂部 |
| hsujialuen |
發表於: 2006/02/20 11:12am
|
下面引用由coelacanth在 2006/02/18 11:09pm 發表的內容: 既然主題是我開,那我分享一下我的經驗。我貼的前兩種我是直接放陽台吹風,9度低溫的寒流是OK啦,不過低溫那幾天我是不澆水的。
|
|
狼,你放陽台雨天不會被澆到嗎
|
頂部 |
| coelacanth |
發表於: 2006/02/20 11:41am
|
| 不太會耶,頂多潑到一點點雨,比較不怕冷的豬也都是這樣過的。反而放吊籃外掛鐵窗的墨西哥菫淋的比較溼,還是用水苔種,你一定不敢相信吧^^~ |
頂部 |
| leonfan0034 |
發表於: 2006/02/21 03:27pm
|
下面引用由charlot在 2006/02/18 08:31pm 發表的內容: 謝謝你的提示 只是我要跟你說歐 這些熱帶低地的雨林植物全都是不知要如何冬眠的馬來熊歐 熱帶雨林植物的生理機制不像熱帶季風臨終的植物知道休眠 家裡的植物太多,沒有辦法去管哪時下雨,哪時冷 只能把怕冷的往室內移,凍不死的就放外頭 台北最要熱帶植物命的氣候是沒有日照,沒有溫差,像是冰窖般的日子,時間久了,不知休眠的植物也就灑手歸西了
|
|
還有盛夏沒有溫差、像是烤箱般的日子...... 現在已經開始慢慢要擔心越夏了。 |
頂部 |
| charlot |
發表於: 2006/02/21 11:14pm
|
下面引用由leonfan0034在 2006/02/21 03:27pm 發表的內容: 還有盛夏沒有溫差、像是烤箱般的日子...... 現在已經開始慢慢要擔心越夏了。
|
|
那些多不怕熱 不需要擔心夏天 熱更好 |
頂部 |
| leonfan0034 |
發表於: 2006/02/21 11:33pm
|
下面引用由charlot在 2006/02/21 11:14pm 發表的內容: 那些多不怕熱 不需要擔心夏天 熱更好
|
|
不是啦。您誤會我的意思了。 我沒有蟻巢玉。 我原意是指台北種植物有些真的不太方便種。 怕冷的像您所說的。【沒有日照,沒有溫差,像是冰窖般的日子....】 而怕熱的植物到夏天真也是折磨。 【還有盛夏沒有溫差、像是烤箱般的日子......】
|
頂部 |
| charlot |
發表於: 2006/02/22 04:00pm
|
下面引用由leonfan0034在 2006/02/21 11:33pm 發表的內容: 不是啦。您誤會我的意思了。 我沒有蟻巢玉。 我原意是指台北種植物有些真的不太方便種。 怕冷的像您所說的。【沒有日照,沒有溫差,像是冰窖般的日子....】 ...
|
|
不會啦,這樣更好,只要躲過寒冷的12.1.2三個月就可以玩熱帶的植物 只要躲過6.7.8.94個月就可以沉浸在高地雲霧林中的幻覺世界,這些是住在南部或是熱帶地區的人所無法擁有的幸福,你不覺得嗎 完全不會有不方便呢 |
頂部 |
| leonfan0034 |
發表於: 2006/02/23 03:18am
|
下面引用由charlot在 2006/02/22 04:00pm 發表的內容: 不會啦,這樣更好,只要躲過寒冷的12.1.2三個月就可以玩熱帶的植物 只要躲過6.7.8.94個月就可以沉浸在高地雲霧林中的幻覺世界,這些是住在南部或是熱帶地區的人所無法擁有的幸福,你不覺得嗎 完全不會有不方便呢
|
|
呵呵,您說的也對啦。 不過您真是樂觀。 可能我技術不好都躲不過....... |
頂部 |
| howardwu0118 |
發表於: 2006/02/24 09:20am
|
其實今年的冬天還好耶 不會很冷 我的兩棵蟻巢玉都是丟在外面風吹雨淋的 到現在還是活的好好的 只是掉了幾片的葉子而己 |
頂部 |
| charlot |
發表於: 2006/02/24 09:34am
|
下面引用由howardwu0118在 2006/02/24 09:20am 發表的內容: 其實今年的冬天還好耶 不會很冷 我的兩棵蟻巢玉都是丟在外面風吹雨淋的 到現在還是活的好好的 ...
|
|
今年躲過了不表示年年都可以捱的過歐 在鋼索上行走本就是有高度風險 如果有平路可以走,還是走安全的方式 現在氣候總在極冷或極熱中徘徊 所以為了安全考量下,還是多燒香多ㄧ份保障 特別當擁有極珍貴的種類或是種植多年的老株更是要小心為妙,常見的便宜的凍死大概比較不會心痛,等心中的寶物凍死了再後悔都是太遲
|
頂部 |
|
|